469 Wallace Line, Lakeshore, Ontario

$2,999,900

Previous Next

About 469 Wallace Line

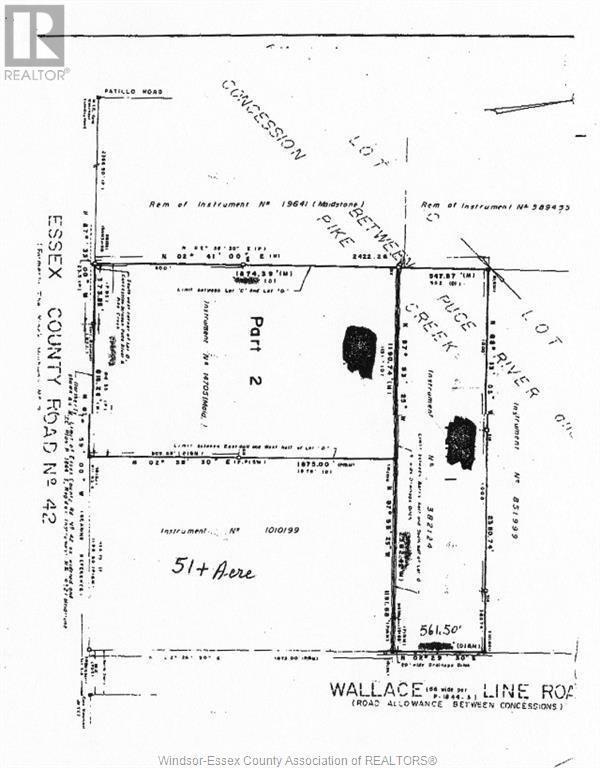
Prime Development Opportunity - 82.2 Acres on Major Artery An exceptional opportunity for developers. This approximately 82.2- Acre: parcel is ideally located on a main artery in the heart of a rapidly growing area. surrounded by new and upcoming development Featuring significant road frontage- approximately 550ft on Wallace Road and 1.190 ft on Highway 42- this property offers excellent visibility and access. making it ideal for a wide range or development possibilities. Buyers are responsible for verifying all services, including sewer type. Don't miss out on this rare offering - contact us today for more details! Legal Description cont'd: 12R- 10510 Pts 1 & 2 (id:6289)

Features of 469 Wallace Line

Listing # 25016916
Price $2,999,900
Bathrooms 0.00
Acres 0.00
Type Vacant Land
Sub-Type Freehold

Community Information

Address 469 Wallace Line
City Lakeshore
Province Ontario
Postal Code N0C1C0

Amenities

Is Waterfront No
Has Pool No

Interior

Fireplace No
Has Basement No

Listing Details

OfficeBOB PEDLER REAL ESTATE LIMITED

Listing Map

Request a Showing

Provide a valid email address.
When would you like to view this property?