0 Victoria Street, Oakville (br Bronte), Ontario

$699,000

Previous Next

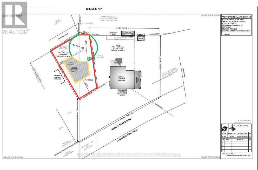
About 0 Victoria Street

Prime building lot with 52 ft frontage on a quiet court Victoria Street just steps to the lake and Bronte Village. This 4554 square foot lot is an incredible opportunity to build your detached dream home. Build envelope of 1083.9 square feet per site plan attached. One protected oak tree at the front of the property. Lot is currently unserviced. Walking distance to Bronte Beach, Shell Park and extensive walking trails. (id:6289)

Features of 0 Victoria Street

Listing # W12314197
Price $699,000
Bathrooms 0.00
Acres 0.00
Type Vacant Land

Community Information

Address 0 Victoria Street
Subdivision 1001 - BR Bronte
City Oakville (br Bronte)
Province Ontario
Postal Code L6L5X8

Amenities

Is Waterfront No
Has Pool No

Interior

Fireplace No
Has Basement No

Exterior

Lot Description 52.49 x 90.29 FT ; irregular|under 1/2 acre

Listing Details

OfficeRoyal LePage Real Estate Services Ltd., Brokerage

Listing Map

Request a Showing

Provide a valid email address.
When would you like to view this property?