271 Humboldt Parkway, Port Colborne (killaly East), Ontario

$134,900

Previous Next

About 271 Humboldt Parkway

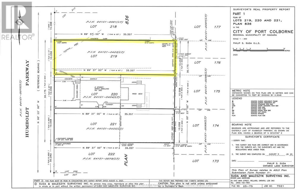
Calling all Builders and Investors!! Apply for your permit and start building on this already serviced Building Lot. This lot was just recently serviced with City Water and City Sewers right to the lot line with the other essential services like gas and hydro etc. are readily accessible at the street. This already serviced building lot with sewers and water makes this a very cost-effective lot! Included with the lot is a recently completed survey plan. The zoning allows for either building a single family home or back-to-back residential units or up and down residential units. Enjoy the convenience of being close to most amenities such as Nickel Beach, Sugarloaf Marina, premier golf courses, shopping centers, schools, and all your daily necessities. R2 Zoning allows for generous lot coverage and permits a variety of residential uses. Call today for more information. (id:6289)

Features of 271 Humboldt Parkway

Listing # X12409494
Price $134,900
Bathrooms 0.00
Acres 0.00
Type Vacant Land

Community Information

Address 271 Humboldt Parkway
Subdivision 875 - Killaly East
City Port Colborne (killaly East)
Province Ontario
Postal Code L3K2H7

Amenities

Utilities Cable, Electricity, Sewer
Is Waterfront No
Has Pool No

Interior

Fireplace No
Has Basement No

Exterior

Lot Description 33.09 x 116.31 FT|under 1/2 acre

Listing Details

OfficeCOLDWELL BANKER MOMENTUM REALTY, BROKERAGE

Listing Map

Request a Showing

Provide a valid email address.
When would you like to view this property?